Stadt Fehmarn

Stadt Fehmarn
Burg auf Fehmarn, Am Markt 1
23769 Fehmarn
Tel.: 04371 / 506-0
Fax: 04371 / 506-147
info@stadtfehmarn.de
http://www.stadtfehmarn.de
Fachbereich Bauen und Häfen
Stadtplanung
Ansprechpartner / in
Frau Claudia Parge
Teamleitung Stadtplanung und Bauantragsverfahren
Tel.: 04371 / 506-245
c.parge@stadtfehmarn.de

Aufstellungsbeschluss mit Rechtswirkung für Bauantragsverfahren

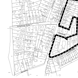
B-Plan 167 Burg - Staakensweg/Lotsenweg

Erstaufstellung
vom 31.07.2018

Planzeichnung

Alle Dokumente zu

Erstaufstellung

vom 31.07.2018

Planzeichnung
Dokumente
Sitzungsprotokoll Bauausschuss
Bekanntmachungen