Stadt Fehmarn

Stadt Fehmarn
Burg auf Fehmarn, Am Markt 1
23769 Fehmarn
Tel.: 04371 / 506-0
Fax: 04371 / 506-147
info@stadtfehmarn.de
http://www.stadtfehmarn.de
Fachbereich Bauen und Häfen
Stadtplanung
Ansprechpartner / in
Frau Claudia Parge
Teamleitung Stadtplanung und Bauantragsverfahren
Tel.: 04371 / 506-245
c.parge@stadtfehmarn.de

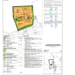
Aufstellungsbeschluss mit Rechtswirkung für Bauantragsverfahren

B-Plan 103 Wulfen - Reiterhof

1. Änderung
vom 24.08.2023

Planzeichnung

Alle Dokumente zu

1. Änderung

vom 24.08.2023

Planzeichnung
Dokumente
Sitzungsprotokoll Bauausschuss
Bekanntmachungen